全球最大的博彩平台

无障碍浏览 长者版
规划公示

恩规公[2019]120号 关于全球最大的博彩平台新平路(纺织路-新安街)天然气中压管道-过河段工程走向的公示

 

    为了进一步推进规划公示制度,充分听取社会各界对全球最大的博彩平台新平路(纺织路-新安街)天然气中压管道-过河段工程走向的意见和建议,依照《中华人民共和国城乡规划法》、《广东省城乡规划条例》规定,现对相关事项公示如下:

     一、项目概况:

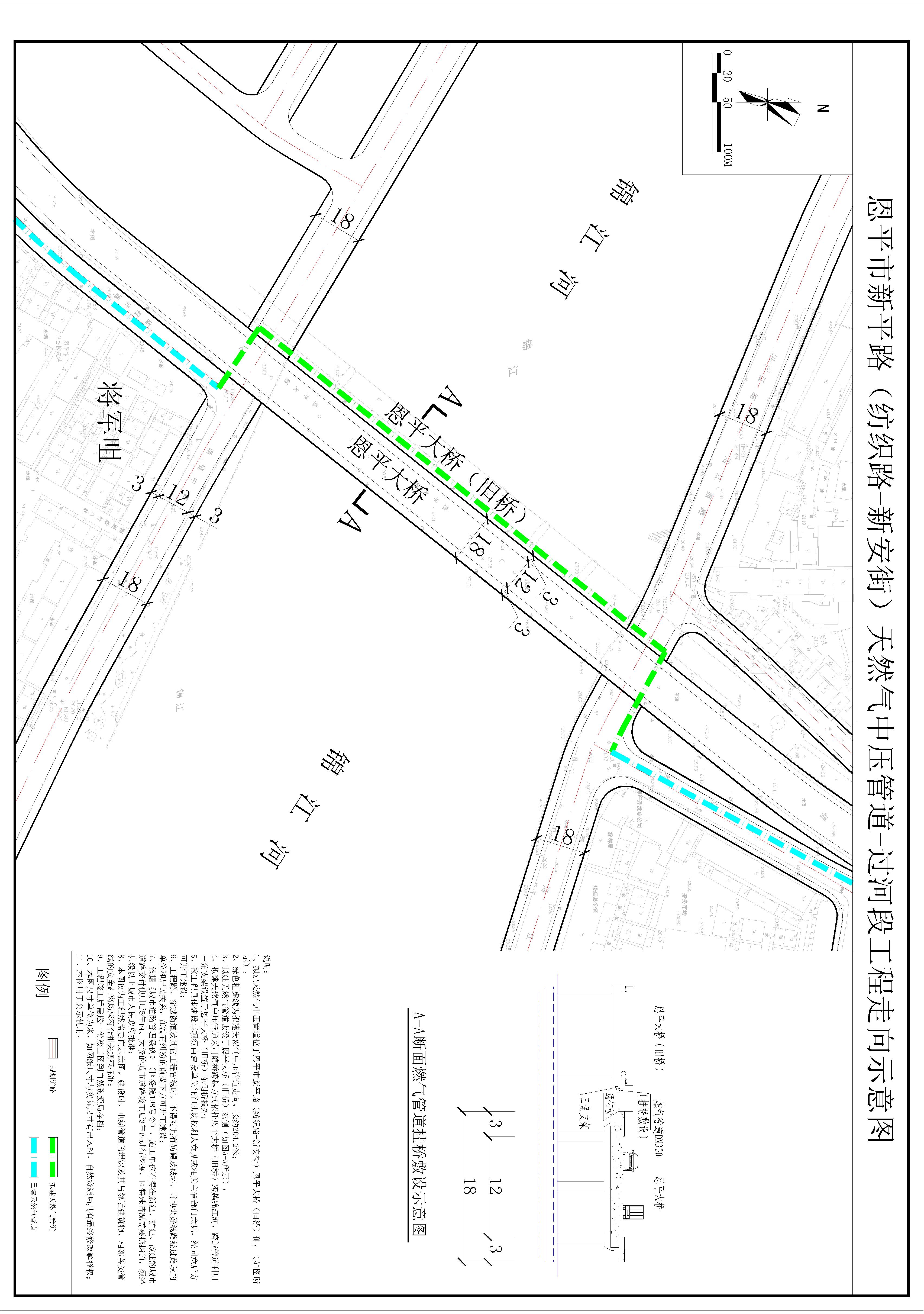
     1、项目区位:全球最大的博彩平台新平路(纺织路-新安街)全球最大的博彩平台大桥(旧桥)侧。

     2、线路总长:约204.2米。

     3、建设单位:全球最大的博彩平台佛燃天然气有限公司。

     4、燃气设施建设简况说明:

     拟建天然气中压管道由全球最大的博彩平台新平路全球最大的博彩平台大桥(旧桥)南端向北沿全球最大的博彩平台大桥(旧桥)侧敷设,接已建天然气管道,长约204.2米;拟建天然气中压管道采用随桥跨越方式依托全球最大的博彩平台大桥(旧桥)跨越锦江河,跨越管道利用三角支架设置于全球最大的博彩平台大桥(旧桥)东侧桥板外;该工程具体建设事项由建设单位征询地块权利人或主管部门意见,经同意后方可开工建设。(如图所示)   

     二、公示时间:2019123-20191212日。

     三、公示地点:全球最大的博彩平台自然资源局信息栏、项目现场、网上公示网址: //www.intersrd.com/zwgk/ghjh/

     四、凡与以上申请事项之间有利害关系的,可在公示之日起十日内向本局堤出申述。逾期未提出的,视为放弃上述权利。

     五、有效反馈意见方式:书面意见并写明真实联系人姓名、电话、联系地址。

     特此公示。

      联系地址:全球最大的博彩平台恩城西门路18

     业务咨询电话:0750-7823076  联系人:张先生

     建设单位电话:13827094886  联系人:赖先生

                                                                                                  全球最大的博彩平台自然资源局

                                                                                                         2019年12月2日


(公示期已过,删除附件)


全球最大的博彩平台政务
全球最大的博彩平台政务
微信公众号
全球最大的博彩平台政务
全球最大的博彩平台政务
官方微博
版权所有:全球最大的博彩平台   主办:全球最大的博彩平台办公室
站点地图    联系方式    网站标识码:4407850057
ICP备案号:粤ICP备05085446号

粤公网安备 44078502000006号

中文博彩平台 全球最大的博彩平台 正规博彩平台 博彩网站 娱乐城平台 世界杯投注官网 娱乐城平台 美高梅娱乐城 威尼斯人平台 博彩平台推荐 YAYUN亚云体育官方网站 亚云体育